Großes Baugrundstück- auch teilbar- im Landkreis Celle zu verkaufen

29323 Wietze, Grundstück zum Kauf

Kontaktdaten

Christine Krause, Pure Home Immobilien

Objektdaten

  • Objekt-ID
    5414
  • Objekttyp
    Grundstück
  • Adresse
    29323 Wietze
    Niedersachsen
  • Grund­stück ca.
    4.981 m²
  • Käufer­provision
    3,57 % inkl. ges.MwSt.
  • Kaufpreis
    298.000 EUR

Energieausweis

  • Energieausweis
    nicht erforderlich

Objekt­beschreibung

Beschreibung

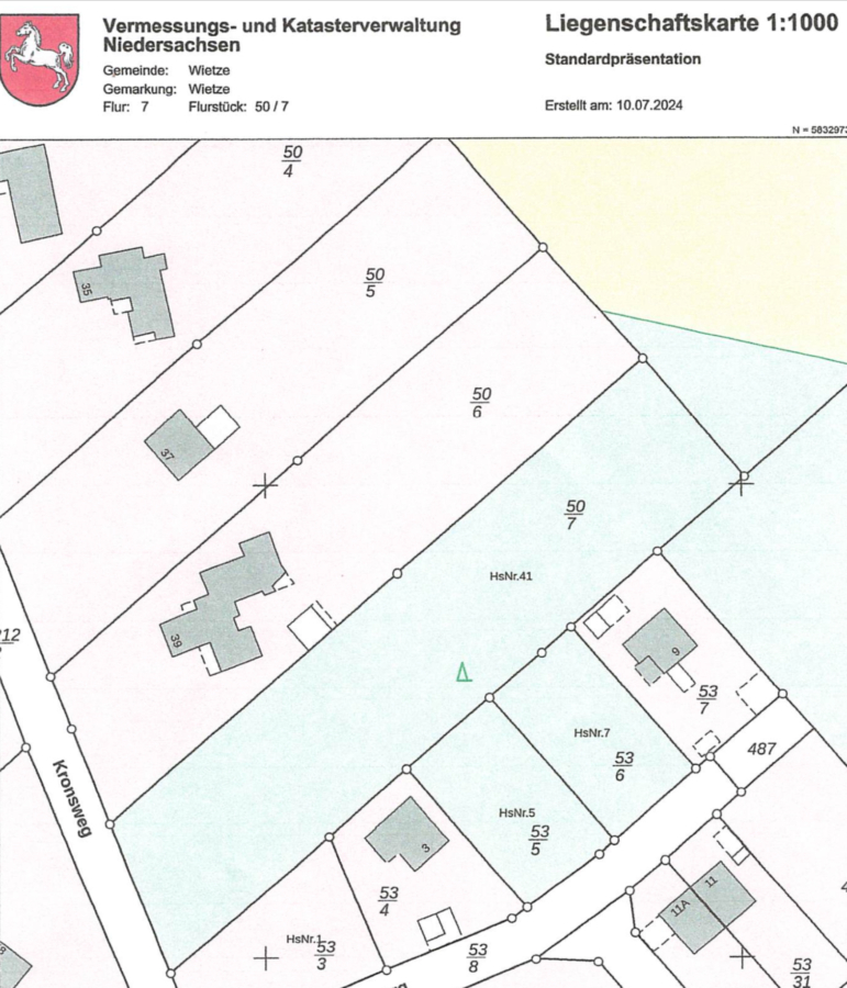
  • Grundstück im Landkreis Celle mit Potenzial zu verkaufen
  • Voll erschlossenes Bauland.
  • Das Flurstück 50/7 kann vollständig bebaut werden, hier gibt es einen amtlichen Bebauungsplan.
  • Der B-Plan sieht reines Wohngebiet vor, bei zwei zulässigen Vollgeschossen (II) und einer Grundflächenzahl von 0,1
  • Der B-Plan sieht eine Mindestgröße von 2.300 m² pro Grundstück vor, dh. das Grundstück ist ebenfalls teilbar.

Sonstiges

Exposé Angaben ohne Gewähr für Größe, Güte und Beschaffenheit.
Alle Informationen in diesem Exposé wurden vom Eigentümer zur Verfügung gestellt.

Lage

Wietze ist eine Gemeinde mit über 8000 Einwohnern im Landkreis Celle in den südlichsten Ausläufern der Lüneburger Heide in Niedersachsen.

Die dargestellte Position der Immobilie ist nur eine ungefähre Angabe.

Direktanfrage

* Pflichtangaben
 SSL-verschlüsselt
Immobiliendaten-Import und Darstellung für WordPress: WP-ImmoMakler